Линктер

ЧУКУЛ КАБАР!
3-Декабрь, 2025-жыл, шаршемби, Бишкек убактысы 00:27

"Мэттью" бороону АКШга багыт алды


Гаитидеги бороон
Гаитидеги бороон

Гаитиде “Мэттью” бороонунун кесепетинен 330дан ашык адам каза тапты. 35 миңдейи убактылуу баш калкалоочу жайларга жайгаштырылды.

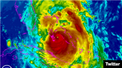
Үрөй учурган “Мэттью” бороону бүгүн АКШнын Флорида штатын көздөй соккону айтылууда. Штаттагы үч миллиондой адам коопсуз аймактарга көчүрүлдү. Кошмо Штаттардын бийлиги Флоридадан башка Жоржия жана Түштүк Каролина штаттарында да чукул кырдаал жарыялап, тургундарга эскертүү берди. 
 
Гаитиде “Меттью” бороонунан улам каза болгондор саны 339 адамдан ашты. Бул Гаитидеги соңку он жылдагы эң күчтүү бороон деп айтылууда. Табигый кырсыктан жабыркаган Гаитинин түштүк-батышындагы шаарларына куткаруучулар бүгүн араң жетишти.

Гаити
Гаити

"Мэттью” бороонунун айынан айрым шаарлар толугу менен кыйрады.
Үй-жайсыз калган 35 миңден ашуун адам убактылуу жайларда баш калкалап жатат.
 
Эл аралык Кызыл чырым уюму аймакта гуманитардык катастрофа күтүлүп жатканын эскертүүдө.
 
- Азыр бул жакта суу, тамак-аш дээрлик жок. Биз адамдарга жардам берип жетише албай жатабыз. Убактылуу баш калкалоочу жайлардагы шарттар да кошумча көйгөлөрдү жаратууда, - деди Гаитидеги уюмдун миссиясынын башчысы Мойз Дэвид.
 
5-октябрда Гаитиде башталган бороондо шамалдын ылдамдыгы саатына 230 чакырымга жетти. Мунун кесепетинен дарактар тамыры менен жулунуп, электр зымдары үзүлдү. Бир катар ооруканалар жарыксыз калды.

Гаити
Гаити

Бороондон жабыркагандарга өз убагында медициналык жардам көрсөтүү кыйынга турууда:
 
- Мага дары керек эле. Үч күн мурда бутумду кокустатып алдым. Мага эч кандай жардам көрсөтүлгөн жок, - деди жабыркагандардын бири.
 
Улуттар Уюмунун маалыматына караганда, ушу тапта Гаитиде 350 миңдей адам тез жардамга муктаж. Кырсыктан улам өлкөдө холера илдетинин вирусу кайрадан жайылуу коркунучу чыкты.
 
Бороон кошуна Доминикан Республикасында төрт адамдын өмүрүн алды.
 
Жума күнү “Мэттью” АКШнын түндүк-батышын көздөй багыт алганын адистер эскертишти. Бул кабар белгилүү болору менен Кошмо Штаттардын президенти Барак Обама Флорида жана Түштүк Каролина штаттарында өзгөчө абал жарыялады.
 
- Мен баары жергиликтүү бийликтин айткандарын кунт коюп угат деп ишенгим келет. Эгер бийлик башка жакка көчүп кетүүнү талап кылса, силер буга абдан олуттуу көңүл бурушуңар зарыл. Биз бороондун күчү Флоридага жана түндүктөгү башка штаттарга жетет деп күтүп жатабыз. Бирок бороондун күчү бул штаттарга тийбесе деле бир катар кыйроолорго алып келген катуу шамал болушу толук ыктымал.

"Мэттью бороону"
"Мэттью бороону"

Аталган эки штат менен катар Жоржия штатындагы океан жээктеринен үч миллиондой адам коопсуз аймактарга көчүрүлүүдө.
 
Кошмо Штаттардын бороондор боюнча улуттук борбору "Мэттьюну" төртүнчү баскычтагы бороон катары баалады. Бул анын кесепети бир катар кыйроолорду алып келет дегенди түшүндүрөт.

Ошондой эле борбор бороон бийиктиги беш метрге жеткен толкундарды пайда кылышы ыктымалдыгын эскертти. Буга байланыштуу АКШ бийликтери кырсыктын алдын алуу үчүн кошумча куткаруучу топторун жиберүүдө.

Миллиондогон адамдар Флорида штатынын Атлантика жээгинен башка жакка чыгып кетүүгө камданууда. Штат бийлиги он жыл ичиндеги эң күчтүү бороондон сактануу үчүн жарандарды башка жерлерге чыгууга чакырды:
 
- Эгер сиз кооптуу аймакта жашасаңыз сөзсүз өмүрүңүзгө коркунуч жаралбаган жакка көчүшүңүз керек. Тобокелге салбаңыз, убакыт жок. Бороондун күчү түз штатка урушу мүмкүн же жээк менен өтүп кетсе да сөзсүз катуу шамал болот. Эч кандай шылтоо жарабайт. Сиз сөзсүз тынч аймактарга көчүшүңүз керек, - деген эскертүүсүн Флориданын губернатору Рик Скотт бир нече ирет кайталады.
 
Аталган үч штаттын тургундары кем-карчын толуктап, дүкөндөрдөгү керектүү азыктар тездик менен сатылууда. Ал эми айдоочулар автоунаасына бензин куюу үчүн кезекте турушат. Мектептер, университеттер жана мамлекеттик мекемелердин баары жабылды.

 

XS
SM
MD
LG